Sydney (AFP) — Australia on Thursday said fresh analysis of data on missing jet MH370 confirmed authorities are searching in the right place, with hopes remaining that it will one day be found.
Australia has been leading the difficult search in the remote southern Indian Ocean for the Malaysia Airlines plane since it mysteriously disappeared on March 8 last year en route from Kuala Lumpur to Beijing with 239 people on board.
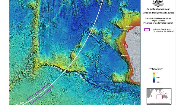
Based on satellite analysis of the jet’s likely trajectory after it diverted from its flight path, ships have been scouring the seabed off Australia’s west coast, so far covering 75,000 square kilometres (29,000 square miles) of a 120,000 square kilometre target zone without result.
Deputy Prime Minister Warren Truss said the Australian Defence Science and Technology Group had been tasked with crunching all available data once again to make sure nothing had been missed.
The conclusions, using models of Inmarsat satellite communications data, aircraft dynamics and meteorological data to determine likely flight paths, were released in a new report — “MH370 – Definition of Underwater Search Areas.”
“The key outcomes of this additional work validate what has happened so far. It affirms that the aircraft is likely located somewhere in the 120,000 square kilometre area along the seventh arc,” Truss said, referring to the area where authorities believe the plane went down.
“The new research further emphasises that we are searching in the right direction, it uses different methodology and has come to the same conclusions.
“That gives us real encouragement that every effort is being made to ensure the search is well focused and well targeted and hopefully will therefore achieve someday a satisfactory result.”
Three ships continue to scour the area, in between returning to port to resupply — a four-day voyage in each direction through often harsh conditions.
“Weather continues to impact on search operations but the onset of summer is expected to bring more favourable conditions over the coming months,” the Joint Agency Coordination Centre said in a separate update Thursday.
Speculation on the cause of the plane’s disappearance has focused primarily on a possible mechanical or structural failure, a hijacking or terror plot, or rogue pilot action.
Investigators believe the aircraft ran out of fuel and crashed somewhere in the southern Indian Ocean, sparking one of the biggest mysteries in aviation history.
Despite the satellite evidence pointing to the plane going down, many Chinese relatives of those on board remain sceptical, and are convinced their loved ones are alive, perhaps being held at an unknown location.
In July, a two-metre-long (almost seven-foot) flaperon wing part washed up on a beach on the Indian Ocean island of Reunion which was confirmed to be from the ill-fated flight, marking the first concrete evidence that MH370 met a tragic end.
But analysts have said that only by locating the crash site and recovering the black box will authorities be able to solve the mystery of why the plane went down.
source:mysinchew.com
















